Digital map for use exclusively in the Avenza Maps app
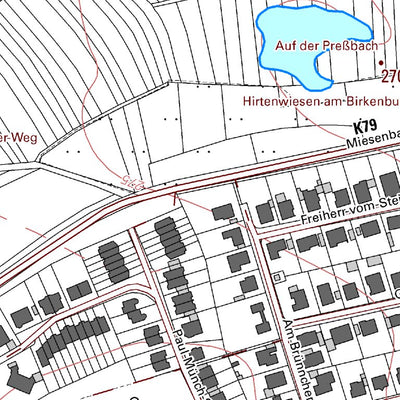
Mackenbach (1:5,000)
Landesamt für Vermessung und Geobasisinformationen Rheinland-Pfalz
Free
Ein vom Landesamt für Vermessung und Geobasisinformation Rheinland-Pfalz erstellter topographischer Satz im Maßstab 1:5:000. Der Satz zeigt topographische Merkmale und Grundstücksgrenzen. Datenlizenz Deutschland - Namensnennung - Version 2.0 http://www.govdata.de/dl-de/by-2-0. Die Karten wurden v...
Geographic area:
Category:
Topographic
Size:
5.24MB
Publication:
2019
Language:
German
This product is available exclusively in digital format, for use only in the Avenza Maps app.
Map bounds
Check nearby mapsWhat you get with Avenza Maps
Reliable mapping tools
Record GPS tracks, add placemarks, add photos, measure distances, and much more.
Locate yourself with GPS
Avenza Maps offline GPS app on your mobile device can locate you on any map, without WiFi or network connectivity.
The best maps by the best publishers
Download professionally curated digital maps on the Avenza Map Store from the best-renowned publishers.